DE GRAL.VILLEGAS AL MUNDO El Dr. Juan Pablo Paladino, referente argentino en el tratamiento del dolor, fue elegido presidente del World Institute of Pain en el país
VATICANO La última provocación de Francisco: Su papamóvil irá a Gaza para transformarse en ambulancia.
ES MISS BELLEZA MARINA ARGENTINA Una joven pampeana de origen ranquel competirá en un concurso internacional de belleza
ELECCION DE NUEVO PAPA Así funciona el cónclave, uno de los procesos electorales más secretos del mundo
EDUCACION Una bonaerense fue elegida entre los 10 mejores docentes del mundo y compite por el “Nobel de la Educación”
HOY, 3 DE DICIEMBRE ¿Qué es el Día Internacional de las Personas con Discapacidad y por qué es importante?
A 40 años del acuerdo El papa Francisco puso como “modelo a imitar” el tratado de paz entre Argentina y Chile
EL PRESIDENTE DE LA ACI DISERTÓ EN MAR DEL PLATA Ariel Guarco: "El Cooperativismo es un movimiento empático en un mundo apático"
ELECCIONES EEUU Donald Trump se declaró ganador y afirmó que "tuvimos una victoria política histórica"
PROMETEN ALTISIMOS RENDIMIENTOS A CORTO PLAZO ¿Cómo detectar una estafa piramidal?: las tres claves a las que se debe prestar atención
PROMOVIDO POR EL BANCO BRASILEÑO BTG Y AUDI Paracaidista lanza más de 100 millones de semillas en una zona deforestada del Amazonas
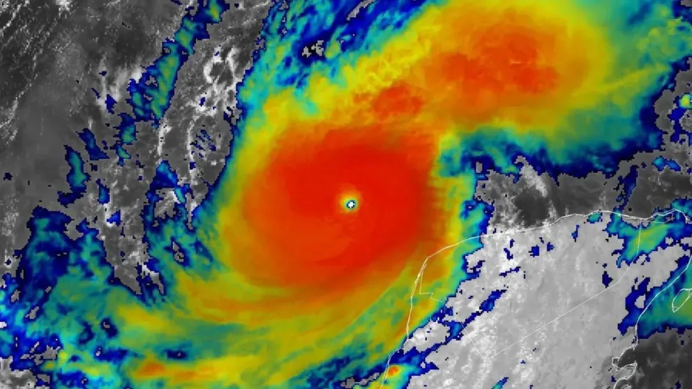
PODRIA SER EL MAS DEVASTADOR DE LOS ULTIMOS 100 AÑOS Evacuaciones masivas en EEUU ante la llegada del huracán "Milton"
SERA VISIBLE POR LA TARDE EN NUESTRA ZONA Anillo de fuego: a qué hora y dónde ver el eclipse anular solar
EN SU VISITA A INDONESIA El papa Francisco vuelve a decir que algunas personas prefieren mascotas antes que niños